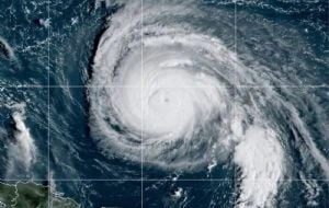
EU se prepara para tormenta que golpeará costa este como huracán Imelda en los próximos días
-
28/07/2025, 10:32
-
proceso.com.mx
0
Leer más
- Este Dia, 13:20
-
proceso.com.mx
-
0
- Este Dia, 12:25
-
proceso.com.mx
-
0
- Este Dia, 9:30
-
aristeguinoticias.com
-
0
- 28/09/2025, 10:32
-
proceso.com.mx
-
0
- 28/09/2025, 10:32
-
proceso.com.mx
-
0
- 28/09/2025, 10:18
-
aristeguinoticias.com
-
0
- 28/09/2025, 6:49
-
jornada.com.mx
-
0
- 28/09/2025, 6:49
-
jornada.com.mx
-
0
- 28/09/2025, 6:49
-
jornada.com.mx
-
0
- 28/09/2025, 6:49
-
jornada.com.mx
-
0
Sin comentarios