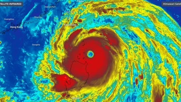
Satellite images show eye of super typhoon hitting Philippines
-
23/07/2025, 4:16 PM
-
9news.com.au
0
Read more
- today, 1:42 PM
-
9news.com.au
-
0
- today, 1:42 PM
-
9news.com.au
-
0
- today, 12:33 PM
-
9news.com.au
-
0
- 23/09/2025, 4:16 PM
-
9news.com.au
-
0
- 23/09/2025, 12:08 PM
-
9news.com.au
-
0
- 23/09/2025, 6:08 AM
-
9news.com.au
-
0
- 23/09/2025, 2:27 AM
-
9news.com.au
-
0
- 22/09/2025, 9:59 PM
-
7news.com.au
-
0
- 22/09/2025, 5:32 PM
-
7news.com.au
-
0
- 22/09/2025, 2:37 PM
-
9news.com.au
-
0
No comments